Approvata dalla Giunta la delibera per la riqualificazione

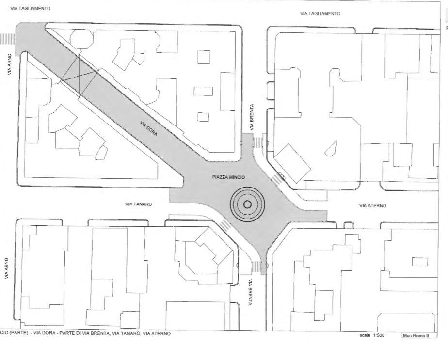
La Giunta di Roma Capitale ha approvato una delibera che prevede la riqualificazione delle pavimentazioni e la pedonalizzazione di piazza Mincio, in II Municipio, e di parte delle strade convergenti: via Dora, via Brenta, via Tanaro, via Aterno.
“La delibera approvata – ha commentato l’Assessore alla Mobilità Eugenio Patanè – si inserisce all’interno del quadro complessivo dei provvedimenti che hanno l’obiettivo di rendere le strade di Roma più sicure e di restituire lo spazio fisico alle persone, togliendolo alle automobili. Questo tipo di interventi sono ancora più necessari in un contesto di grande pregio storico, architettonico e urbanistico, come quello di piazza Mincio, che deve essere assolutamente tutelato e liberato dalle auto. La pedonalizzazione dell’area, e la contestuale riqualificazione, va in questa direzione e aiuterà inoltre a migliorare la sicurezza delle cosiddette utenze deboli e la salute di tutti i cittadini”.

“Con un investimento di 1.300.000€ tra fondi giubilari e fondi del bilancio municipali – ha commentato la Presidente del II Municipio, Francesca Del Bello – abbiamo voluto restituire al quartiere Coppedè nel centenario della sua nascita l’originario splendore, valorizzandone la sua bellezza. Un intervento fortemente voluto dal Municipio che permetterà ai cittadini romani e ai turisti di ammirare i pregevoli elementi architettonici realizzati da Gino Coppedè e ispirati all’arte Liberty e all’Art Decò con elementi che richiamano lo stile greco classico, medievale e rinascimentale, lo spettacolare arcone di via Dora con il suo lampadario in ferro battuto, le sofisticate finiture della Fontana delle Rane”.
